忍者ブログ
~クラブノアむぎ海の最新情報~
[104]  [105]  [106]  [107]  [108]  [109]  [110]  [111]  [112]  [113]  [114
×

[PR]上記の広告は3ヶ月以上新規記事投稿のないブログに表示されています。新しい記事を書く事で広告が消えます。

日付

4/26

天気

晴れ


西
水温

19

気温

20

透明度

10~15
波高

1.5~2
今日は天気は良かったけど、海がうねっていました。でも、透明度が良いダイビングでしたよ。

ビシャゴ
最初は僕ではなくて、チーフが写真撮影をして途中で撮影することになったんだけど、綺麗に魚を撮影出来て気分が良かったですよ。74d69051.JPG
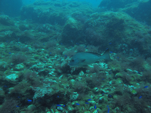
気に入っているのは、このコロダイ。この魚は食用で刺身や焼き物、煮付けが絶品ですよ。この魚も成魚と幼魚とでは全く模様も形も違うんですよ。







15d862fd.jpeg次は、イラ。綺麗な模様だけどなんだか不格好ですね。コロダイと違って味が良くないみたい。なぜだろう?





ムギオトシ

pika0426.JPG僕の中ではムギオトシは青色なんです。実は、うねりが強くてここにたどり着いたんですよ。ここでは、チーフがワニゴチを見つけて撮影してくれたんですよ。この魚はイラより見不格好。砂泥底に住んで、肉食で珍重されていないけど美味しいらしい。
そこで、ムミウシのピカチュウかと思いきや、そうではなくぅ~~~~~~、ただのピカチュウでした。変な冗談を言ってごめりんこ。
それじゃあ、次回を待ってね。
PR

日付

4/25

天気



水温

気温

18

透明度

波高

2.5
本日(4月25日)は海況不良のためクローズいたしました。
明日(4月26日)は通常通り営業致します。
明日、4月25日(土)は海況不良のためクローズ致します。
明後日4月26日(日)
は通常通り営業致します。

日付

4/24

天気

晴→曇


北→南
水温

19

気温

18

透明度

5~8
波高

0.5
今日もいい天気♪
内湾・アカバに行ってきました~(^O^)/

内湾
「千年サンゴ」の隙間に大きなイセエビが2匹でいましたよ~★
ペアで突っつき合い??をしてました。ケンカ?それともラブラブ??
どっちでしょ~ね~(●^o^●)
近づき過ぎて引っ込んでしまいましたけど!!
オニヒトデチェックもしたんですが、姿は見えませんでしたよ~。
食べごろサイズのイサキがたくさんいました♪

アカバ

両ポイント透視度5mくらいです。
でも、水温は19℃!!いい感じですね~(>_<)
ニシキウミウシシンデレラウミウシコヤマウミウシなど手のひらサイズのウミウシがいたり、
米粒大のシロイバラウミウシミツイラメリウミウシシロハナガサウミウシもいました。
ゾウゲイロウミウシも久々に発見(^O^)
最近、ウツボもよく見ますよ~!!

日付

4/23

天気

晴れ


北北東
水温

気温

20

透明度

波高

0.5

日付

4/22

天気

晴れ


南南西
水温

19

気温

20

透明度

10~13
波高

0.5

日付

4/21

天気

晴れ


北北西


気温

22



波高

日付

4/20

天気

弱雨


北東


気温

20



波高

1

日付

4/18

天気

晴れ


水温

18~19

気温

22

透明度

5
波高

0.5

今日も天気で気持ち良かったですね。今日は大島内湾とアッシャウラへ行ってきました。

大島内湾
ここにはアオウミウシ二匹とヒメイセエビが一緒になっていましたよ。
このアオウミウシは冬にやや少なくなるけど夏になると子供を作るために増えるようです。それに、個体によって模様が若干異なるからいろいろバリエーションが楽しめますよ。
次はヒメイセエビ。このエビは夜行性らしく日中に見ることがでるとは、奇跡です。普段は洞窟に隠れているようです。
e801ac61.jpeg





アッシ
ャウ
ここではがキイロイボウミウシいました。この種もアオウミウシと同じく、個体によってバリエーションが豊富です。今回のは一般的なものですね。触るのはだめですよ。硬くなって白い粘液を出すから。
それとは別にオオモンカエルアンコウがいましたよ。この魚は沿岸の浅瀬や岩礁域、サンゴ礁に生息している大型種です。牟岐では多く見られますよ。78ef8a3e.jpeg
64384f20.jpeg










 

 

日付

4/18

天気

晴れ


東南東
水温

19

気温

22

透明度

5
波高

0.5
今日の天気は晴れでした。今日はビシャゴと内湾に行ってきました。

ビシャゴ
1969d34b.jpeg今日は綺麗な空と太陽の下で快適なダイビングでしたけど、春の牟岐では恒例の濁りがありました。
しかし、ソラスズメダイが大量に群れていて綺麗で可愛かったです。それに、若いサンゴが一杯育っていて将来の牟岐に沖縄級サンゴ礁が出来るのでは!!!と確信しましたよ。
明日はこんな小さなサンゴ達を沢山撮影して紹介しちゃいます。期待していてね。

内湾
9d784714.jpegこの内湾は大島にあるポイントです。この大島には昔、人が住んでいて牟岐町民の源流になっているみたいです。今ででも大島には人が住んでいた痕跡が残っているみたいで、何とかして大島を探索したいと思っています。
このポイントは牟岐町の地域活性化を図るために、牟岐町民が自分たちのシンボルにしているコブハマサンゴあります。今日は濁りがあって、雲の隙間から『天空の城ラピュタ』を見た時のような、オーラはなくなっていたけど何時見ても良いものですよ。
今度はここの大きな約1700歳にるコブハマサンゴを撮影してきますね。感動しますよ~。ラピュタですよ。ラピュタ!!!!26788d3c.jpeg






&lt;&lt; 前のページ 次のページ &gt;&gt;
カレンダー
12 2026/01 02
S M T W T F S
1 2 3
4 5 6 7 8 9 10
11 12 13 14 15 16 17
18 19 20 21 22 23 24
25 26 27 28 29 30 31
バーコード
最新記事のフィルム
お天気情報
忍者アナライズ
プロフィール
HN:
noah
年齢:
25
性別:
非公開
誕生日:
2000/07/07
職業:
ダイビング
趣味:
ダイビング
フリーエリア
ブログ内検索
カウンター
忍者ブログ [PR]