~クラブノアむぎ海の最新情報~
×
[PR]上記の広告は3ヶ月以上新規記事投稿のないブログに表示されています。新しい記事を書く事で広告が消えます。
| 日 付 | 天 気 | 風 向 | 水 温 | 気 温 | 透明度 | 波 高 |
| 9/14 | 曇→雨 | 南 | 28℃ | 29℃ | 15m | 0.5m |
昨日、今日と連日チーム+新しいゲストさんと、まるで1チームだったかのように
一致団結?で潜りに行ってきましたー(^.^)
透明度も良い感じですよ~♪
ビシャゴ
ホウセキキントキの赤&白~(^.^)白は赤と合流すると赤くなっていました(笑)
クロホシイシモチが数カ所ですっごい大群になっております♪
その中をスジアラ、ハナミノカサゴがウロウロ(*_*)
中層ではアジがガンガン回ってます!タカベも綺麗に群れていましたよー。
アオリイカもチラホラ。魚たちを狙っているようです~。
サンゴやイソギンチャクにはヒメイソギンチャクエビ、アカホシカクレエビ、
イソギンチャクエビがいました(^.^)
その他、フタスジリュウキュウスズメダイやミツボシクロスズメダイ、
ヤリカタギ、コロダイ達もいました(*^。^*)
ナカグロミ
久しぶりにゴソゴソ探しに行ってきましたー!
相変わらず砂地には水色の綺麗なハナハゼが一杯♪♪♪
アカスジカクレエビが一杯一杯いっぱ~~~い\(^o^)/
卵をお腹に一杯抱えたマルタオウギガニもいました\(◎o◎)/!
岩陰には美味しそうなイセエビ。
そしてめっちゃ可愛いミナミハコフグの幼魚がいました(*^。^*)
その他、ガラスハゼ、キンギョハナダイ、ミツボシクロスズメダイ、
クマノミのちびちゃん一杯いましたー♪
さて、皆さま、明日から連休だというのに台風が近づいてきていますね・・・(-_-;)
ダイビングのご予定のある方は台風の動向に気を付けてくださいね!
今日も楽しい皆さまとご一緒できてルンルン気分のetsuでした(●^o^●)
PR
| 日 付 | 天 気 | 風 向 | 水 温 | 気 温 | 透明度 | 波 高 |
| 9/13 | 曇 | 南 | 28℃ | 31℃ | 10~15m | 0.5m |
今日は内湾&アカバへ行ってきましたー!
写真がないのが残念ですが、、、(>_<)
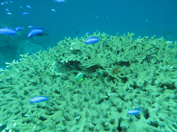
内湾
千年サンゴです!思ったよりすごかった!?
サンゴの周りにはクロホシイシモチの成魚&幼魚が一杯♪
その外側をキビナゴが舞い、その外側をカマスが群れていました(^^♪
サンゴの下ではスジアラVSオオモンハタの縄張り争いか???
そして砂地でハゼ~~~♪ 今日はネジリンボウがご機嫌に顔を出していました(^.^)
オニハゼやササハゼも(^^♪ 少し行くと、茶色の瓶からなにやら目が見える???
タコが住家にしていました~(笑)
浅瀬では、フタスジリュウキュウスズメダイ、ミナミハタタテダイ、ミスジチョウチョウウオ、
スミツキトノサマダイ、ヤリカタギ、トゲチョウチョウウオなど可愛い系が一杯(●^o^●)
アカバ
今日ももちろんウミガメ狙いで潜ってきましたよーーー!
しか~し、狙うと外れるものなんですかねぇ・・・。いませんでした(T_T) 残念。
気を取り直して、最近恒例のハタタテハゼ♪
今日もまたまた元気に皆に顔を見せてくれました!
サンゴには小さいトノサマダイ、水路を抜けるとクロユリハゼの成魚&幼魚が一杯♪
北の果てではサクラダイのオカマちゃん。岩陰にはオルトマンワラエビ、
超ちっちゃいガラスハゼやヒトデヤドリエビなんかもお目見えでした。
その他、オニカサゴ、キンギョハナダイ&ソラスズメダイの群もわんさか。
今日は大勢でのーんびり&まーったりのダイビングをしました。
昨日からおNEWウエットスーツでご機嫌に潜っているetsuでした(^_-)-☆
| 日 付 | 天 気 | 風 向 | 水 温 | 気 温 | 透明度 | 波 高 |
| 9/12 | 晴 | - | 28℃ | 31℃ | 10~15m | 0.5m |
今日は一週間前にダイバーになったばかりの方と
プロに足をつっこんだ方と一緒に潜ってきましたー\(^o^)/
今日は朝から良い天気♪
青空一杯で出港しました!
内湾
千年サンゴの周りにはクロホシイシモチの成魚と
幼魚がたっくさん群れています♪
その外側をキビナゴの大群が行ったり来たり。
後ろからカマスの群が迫ってきていました!
オオモンハタはお気楽にクリーニング中(笑)
スリバチカイメンにはカサゴとチョウチョウウオが
仲良く休憩していました(^.^)
サンゴにはヒメイソギンチャクエビ。
その他、イソギンチャクにはイソギンチャクエビの子ども、
イソギンチャクモエビがいました(^^♪
浅瀬にはチョウチョウウオ系の幼魚達が一杯(*^。^*)
ミスジチョウチョウウオ、スミツキトノサマダイ、
トゲチョウチョウウオ、ヤリカタギ、トノサマダイ、
チョウハンなどなど可愛いです♪
浮上寸前、アオリイカにも遭遇しました!
ビシャゴ
ビシャゴも魚が多かったです(^.^)
キビナゴ行ったりきたり~。
その外側をスマが10匹ほど通り過ぎました!
体色をしましまに変えたホウセキキントキ。
ウミシダの中にはコマチコシオリエビ♪
サンゴの影にはアカハタ~(^.^)
以上、今日はまった~りと牟岐大島休憩で一日リゾートのように過ごしたetsuでした(*^。^*)
【急なお知らせ~♪】
来る10月1日(月)~2日(火) ※9/30(日)夜出発
ド平日の2日間ですが、お時間ある方集まってくださ~い\(^o^)/
むぎスタッフと一緒に「島根県隠岐西ノ島」に遊びに行きませんか~♪
癒しの島・隠岐西ノ島で島時間と水陸両方の絶景を楽しみましょう!!!
シーカヤックもやっちゃいますよーーー(*^。^*)
詳細はスタッフ高田までご連絡ください。
メール:noah2000@tk2.nmt.ne.jp
電話:0884-74-0100
| 日 付 | 天 気 | 風 向 | 水 温 | 気 温 | 透明度 | 波 高 |
| 9/10 | 雨 | 南 | 28℃ | 27℃ | 10~12m | 0.5m |
今日はあいにく一日中雨でした(>_<)
でも体験ダイビング&ファンダイビングに行ってきましたよーーー♪
内湾
千年サンゴチェ~ック!引き続きクロホシイシモチの大群がすごいです。
その中でオオモンハタがウロウロしていました。
サンゴの合間には大きなイセエビがいました。生唾ゴックンですね(笑)
すみっこにはオキナワベニハゼが数匹チョロチョロ♪
砂地にはヒレナガネジリンボウ♪
可愛いかったですよ(^.^)
その他、ササハゼ、オグロクロユリハゼ、
オニハゼがいました。
浅瀬には、引き続きハナグロチョウチョウウオ、ミスジチョウチョウウオ、
トノサマダイ、スミツキトノサマダイ、ヤリカタギ、ミナミハタタテダイ、
中層にはカマスの大群でした\(◎o◎)/!
ビシャゴ
クロホシイシモチの群に囲まれて遊びました♪
群の中にはハナミノカサゴが飛行していました!
中層ではアジが行ったり来たりで綺麗でしたよー。
浅瀬ではホウセキキントキが体色を変えながらウロウロ。
キンギョハナダイに混ざってケラマハナダイ、カシワハナダイがいました。
その他、ヤリカタギ、フタスジリュウキュウスズメダイ、ミツボシクロスズメダイ等
可愛い子一杯でした(^.^)
今日はこの秋にインストラクター試験を受ける方と一緒に潜りました(*^。^*)
来春にはインストラクターとして仕事をしたいと熱く夢に向かって
前進しているようでした。頑張ってくださいねー! etsu
| 日 付 | 天 気 | 風 向 | 水 温 | 気 温 | 透明度 | 波 高 |
| 9/9 | 晴 | 南 | 28℃ | 29℃ | 10~15m | 0.5m |
今日の天気予報は曇(-_-;) そして早朝は雨模様でした(>_<)
しかーーーし!今日牟岐に来られたダイバーさんは「晴運♪」が強い方が集結か???
ダイビングが終わるまですごく良い天気でした\(◎o◎)/!
内湾
もっちろん千年サンゴですよっ(^.^) 頂上にはクロホシイシモチの成魚&幼魚の大群♪
キビナゴの大群♪ その後ろをカマスがアターック!
サンゴの中にはオレンジの小さいオオキナワベニハゼがいました(*^。^*)
イソギンチャクの中にはイソギンチャクエビ。知ってました?足は青いです。
今度よ~く観察してみてくださいね~(^_-)-☆
浅場では、ちょいと珍しい子たちが!!! ハナグロチョウチョウウオに
フウライチョウチョウウオ、チョウハンの幼魚です(●^o^●)
アカバ
またまた今日もハタタテハゼに会ってきましたー!もちろん健在(^.^)
そして地形ビューポイント①を通り過ぎ~、大きなハナミノカサゴを見たその瞬間。
チームの一人が何かを発見!!! かなり大きいアオウミガメの♂がいました\(◎o◎)/!
本当にでかかったです。そして地形ビューポイント②をくぐり、根のトップでキンギョハナダイ、
コロダイ、ソラスズメダイの群にまみれていると、またチームの一人が何かを発見!!!
またもやアオウミガメ~\(◎o◎)/!今度のは少し小さめで♀でした(●^o^●)
本日2匹でしたーーーーーー!すごかった(@_@)
以上、風邪も完全に復活のようでご機嫌に楽しい一日になったetsuでした。
| 日 付 | 天 気 | 風 向 | 水 温 | 気 温 | 透明度 | 波 高 |
| 9/8 | 曇 | 南 | 28℃ | 29℃ | 10~15m | 0.5m |
今日は雨の予報の中、雨に遭うこともなく、空が明るい間にダイビング終了!!!
Lukkyーーー\(^o^)/
そしてまた新しい子たちが見受けられました♪
内湾
牟岐初ダイブの方と一緒に千年サンゴを見に行ってきました(*^。^*)
千年サンゴの上にはクロホシイシモチがわんさか群れてます。
小さなカマスも混ざっていました(^^♪
サンゴの間にはイセエビが多かったです。
その他、オレンジで可愛いオキナワベニハゼもいましたよ。
その他、浅場のサンゴの間には、ヤリカタギ、スミツキトノサマダイ、ミスジチョウチョウウオ、
フタスジリュウキュウスズメダイ、モンスズメダイ、ハナグロチョウチョウウオもいました。
イソギンチャクの中には、卵を持ったカザリイソギンチャクエビやイソギンチャクエビ、
ヒメイソギンチャクエビもいました(^○^)
ビシャゴ
去年から姿が見えなくなったハナゴンベが登場してくれました!!!!!
会いに行かなくてはなりませんね♪♪♪
深場にはクロホシイシモチの大群!その下をハナミノカサゴがウロウロ。
中層ではタカベとアジが乱舞(^^♪
気を取られている暇はありません。なんとアオウミガメ~\(◎o◎)/!
その他、ホウセキキントキやカマスもいましたよ(^.^)
遊びすぎで風邪をひいていたetsuも復活です(●^o^●)
| 日 付 | 天 気 | 風 向 | 水 温 | 気 温 | 透明度 | 波 高 |
| 9/7 | 晴 | 南東 | 28℃ | 32℃ | 10~15m | 0.5m |
今日は元気に3ダイブ行ってきました!
アカバ
アンカー近くのハタタテハゼは、初め恥ずかしがって出てきてくれませんでしたが
後半、ダイバーたちの気配に慣れたようで、元気に出てきてくれましたよ!
中層には、アオヤガラの群れやアオリイカの子どもの群れなどがいました。
他に、ヨスジフエダイ、キンギョハナダイ、ソラスズメダイ、ハナハゼなどがいました。
大島内湾
千年サンゴの周りにはたくさんのクロホシイシモチが群れていて
それを狙って、ツムブリがアタックしていました!
一瞬の光景でしたが、とても迫力がありましたよ!
砂地のヒレナガネジリンボウは少し警戒心が強く、ずっと背を向けられてしましました。。。
浅場のサンゴには季節来遊漁が元気でしたよ!
フタスジリュウキュウスズメダイ、スミツキトノサマダイ、ヤリカタギなどがいました。
他に、ミナミハタタテダイ、ゼブラガニなどがいました。
アッシャウラ
ここでは、マクロモードに。
アカホシカクレエビ、イガグリウミウシ、タテヒダウミウシなどが可愛かったですね。
マクロモードだったのに、トラウツボやイタチウオなどの大物にも目がいってしまいましたよ。
トラウツボは色が綺麗で、カメラ映えしますね!
エキジット間際に根の隙間に目をやると、半身を隠したカエルアンコウがいました!
| 日 付 | 天 気 | 風 向 | 水 温 | 気 温 | 透明度 | 波 高 |
| 9/5 | 晴 | 東南東 | 28℃ | 31℃ | 10~15m | 0.5m |
今日は初牟岐ダイビングのご夫妻と一緒に潜ってきました!
仲良くて素敵です(*^。^*)
今日は綺麗な空模様♪ 良いことが起きそうな予感(^.^)
内湾
千年サンゴにはクロホシイシモチの成魚&
幼魚がぐっちゃり群れています~(^^♪
アップにするとこんな感じ~
綺麗です。
その周りをキビナゴとオオモンハタがウロウロしていました。
ネジリンボウ探しに砂地へGO!!!
写真を撮る前は2匹が顔を出していたのですが、、、
激写できずに残念(>_<)
その他、砂地にはオニハゼ、サツマカサゴもいました(*^。^*)
アカバ
今日もハタタテハゼは元気(●^o^●)
頼もしいです♪
etsuオススメの地形(●^o^●)
この時期は皆小さくてカワイイですね。
ミツボシクロスズメダイ♪
フタスジリュウキュウスズメダイ♪
ヨチヨチ泳ぎのコロダイの赤ちゃん♪
スミツキトノサマダイの幼魚~♪
トノサマダイの幼魚~(*^。^*)
タキゲンロクダイの幼魚~。
その他沢山の幼魚たちがあっちこっち(*^。^*)
そして食べたらおいしいよ~という話題で皆さん
釘づけ!?コロダイの成魚(>_<)
以上、まったり楽しいダイビングでした\(^o^)/
写真をご提供いただきましたHご夫妻様、ありがとうございました(^.^)
| 日 付 | 天 気 | 風 向 | 水 温 | 気 温 | 透明度 | 波 高 |
| 9/2 | 晴 | 南東 | 28℃ | 30℃ | 15~20m | 0.5~1.0m |
皆さまこんにちは!
今日はとってもとってもとっても綺麗なうみでしたよ☆
いい潮が入ってきたみたいです☆
さて海情報です。
内湾
本日内湾が一番透明度が良好だと感じました☆なんと透明度20m\(◎o◎)/!
もう、エントリーする前から水底は見えておりエントリーすると千年サンゴ丸見え(笑)
ガイドは必要ないんじゃないかと思うくらい綺麗でした☆
千年サンゴの周りはクロホシイシモチ、ネンブツダイがびっしり付いております!
そして、オオモンハタがなにやらせわしなく動いていました!
今日もネジリンボウチェック!!ちゃんと出てましたよ!!
浅場に帰ってくるとフウライチョウチョウウオ、ヤリカタギ、ツノハタタテダイ、ハタタテダイの幼魚が可愛らしくサンゴの間を飾ってくれております!
他にもアオブダイ、コマチテッポウエビ、キビナゴ、アオリイカ、クマザサハナムロ(一匹)、ウツボ、などがいました☆
アカバ
ウミガメチェック!!ニタリ待ち!!!してみましたけど・・・・(-_-;)
残念!!!!!!!
その代わりといっては失礼にあたりますがクエが二匹!!一匹はものすごく大きな個体と少し小ぶりな個体が深場で見れました!!大興奮!!
大きな大きなイセエビも発見!
ハタタテハゼ場所が変わっておりましたが、元気です!!
少しまばらですがイサキの群、キビナゴの群も中層をにぎやかにしてくれていました!!
その他にもサクラダイ、キンギョハナダイ、キハッソク、コロダイ、スミツキトノサマダイ幼魚、などが見れました☆
ココも透明度15m見えました☆
チエバノシタ
アカバでのリベンジともう一発ニタリ待ちしてみました!!!!!!
また残念・・・・・(-_-;)(-_-;)どこにいったのニタリさん・・・・
エントリーしてすぐにスジアラが深場から上がってきており15m位でせわしなく泳いでいました!
透明度が綺麗なおかげでアーチも綺麗でしたよ☆
まとまってはいなかったですが、イサキの群、キビナゴの群、ニザダイの群と遭遇しました!
その他にも、ツノダシ、シテンヤッコ、レンテンヤッコ、コマチテッポウエビ、トサカガザミ、ヒメギンポなどが見れました☆
ここも透明度15m☆
byまさき
| 日 付 | 天 気 | 風 向 | 水 温 | 気 温 | 透明度 | 波 高 |
| 9/1 | 雨→晴 | 南東 | 28℃ | 26℃ | 15~20m | 0.5m |
今日はなんと透明度がまた一段と綺麗になっていましたー!
イワシグロミ
久しぶりに行ってきましたー!
いましたよツバクロエイ(*^。^*) なかなか大きかったです♪
中層では群が一杯\(◎o◎)/!アジ、イサキの大群です。
その他、アオリイカやクエ、オオモンハタがいましたよ(*^。^*)
アカバ
ハタタテハゼ今日も健在♪♪♪可愛いですよーーー(●^o^●)
浅瀬ではコロダイの群がいました。ヨスジフエダイの幼魚もいましたよー♪
キビナゴの大群が行ったり来たり(^.^)カンパチも登場してくれました!
ビシャゴ
キビナゴとハマチがランデブー(^○^)アジの群もいました。
スケロクウミタケハゼやカザリイソギンチャクエビ、トラウツボもいました。
ホウセキキントキも♪ その他、ソラスズメダイ、コガネスズメダイ、
キンギョハナダイもいました。
そうそう!クロホシイシモチの群と一緒にハナミノカサゴが優雅にいました。
今日は雨予報にも関わらず太陽が結構出てくれて
まるでどこかのリゾートです(*^。^*)
体験ダイビング
今日は体験ダイビング大賑わい♪総勢9名!!!
元気なチームでスタッフも一緒に楽しませていただきました(笑)
先日からナンヨウツバメウオの幼魚がいます。
本当に枯葉みたいで体験ダイバーさんに大人気(^○^)
【おまけコーナー】
今日は新プロダイバーのデビュー戦でした(*^。^*)
イケメン2名、頑張ってます! 応援よろしくお願いします\(^o^)/
今日はデビュー戦の監督をしていたetsuでした(^.^)
