忍者ブログ
~クラブノアむぎ海の最新情報~
[1]  [2]  [3]  [4]  [5]  [6
×

[PR]上記の広告は3ヶ月以上新規記事投稿のないブログに表示されています。新しい記事を書く事で広告が消えます。

日 付 天 気 風 向 水 温 気 温 透明度 波 高
2/16 晴れ 北西 18℃ 12℃ 12~15m 1~1.5m


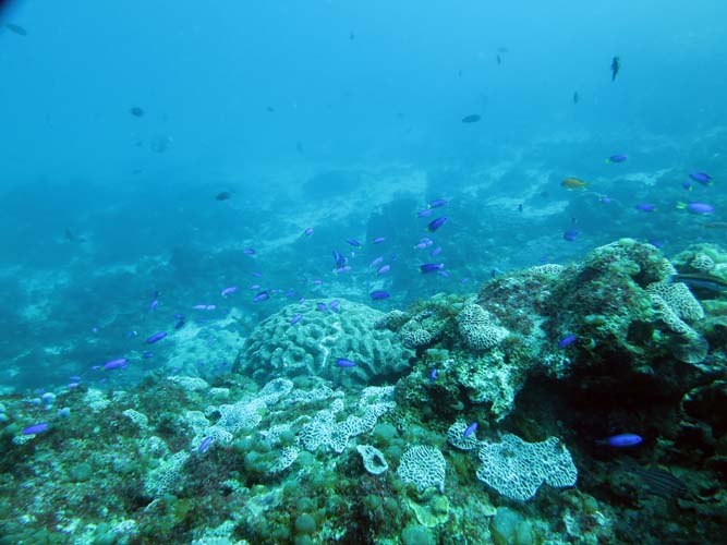
こんにちは!BAKUですemoji


本日もダイビングに行って参りましたー♪


ではでは早速本日の牟岐の海情報をお知らせいたします!


今日は北西からの風が強く潜るポイントが限定されてしまった
ということで、内湾とビシャゴで潜ってきました!


内湾では、
透明度がいいから千年サンゴが綺麗に見えていますよー♪
「千年サンゴとクマノミさん」


そのまわりでは、マアジの大群・クロホシイシモチの大群などが
いーっぱいいました!


そしてそして!
水深15m付近にて「キツネベラ」らしき魚を発見!
暖かい潮流にのってきたのかな?

でも、この季節に熱帯系の魚が見れるのはラッキー!


ビシャゴでは、
深場の方ではイサキの群れがいたり、
浅場の方ではテンクロスジギンポが穴から飛び出して泳いでいたり
ソラスズメダイ・キンギョハナダイが群れていたり!

キンギョハナダイ綺麗ですよねー!
鮮やかなオレンジ色が青い海に映えますねーemoji
キンギョハナダイ大好き!


というわけで、水温も透明度も上昇中ー!!
冷たい海はいやだというあなた!
海が呼んでますよ!

でも、陸上はまだすごーく寒いんで、心の準備をしてお越しくださいね(笑)


皆々様のお越しを心からお待ちしております♪
遊びに来てねー\(^o^)/
PR
日 付 天 気 風 向 水 温 気 温 透明度 波 高
2/13 晴れ 17℃ 5℃ 10~15m 1.5m

バレンタインデーはチョコをあげる日でも もらう日でもなく
兵士の結婚を認めたがために処刑されてしまった
バレンタインさんの命日だということを忘れてはなりません。

どうも奥さん 僕です(゜レ゜)


いうわけで
本日も元気に海へ漕ぎ出したわけです

大島内湾 ビシャゴともに
透視度良好 水温上昇

15mくらいみえてて 17℃くらい

水中の方がよっぽど温かかったです

クロホシイシモチ、イサキ、マアジ、タカベの群は
塊となってうごめき
岩陰に小さなウミウシを数匹発見しました(゜レ゜)

水温は上昇しているのですが
午後から次第に風が強さをましており

徳島は明日からまた雪が降るそうです

明日は波の高い予報が出ておりますので
終日ダイビングはクローズとさせて頂きます。

週末までに穏やかな海に戻る事を祈るばかりです<(_ _)>

寒い日が続いておりますが
皆様、奥さまのお越しを心よりお待ちいたしております<(_ _)>


日 付 天 気 風 向 水 温 気 温 透明度 波 高
2/9 晴れ 北西 15℃ 10℃ 10~12m 0.5m


どーも!こんにちは!BAKUです(^^♪

本日、久々のダイビング♪

天気良し!風なし!波なし!体調良し!
ということで、2ダイブいってまいりましたーemoji

ポイントは内湾とビシャゴ。

1本目内湾

アンカー下すぐのところに設置しているハートのオブジェが
ダイバーに人気となっておりますemojiemoji
皆さんカメラで写真に収めたり、くぐってみたり
楽しそうでしたemoji

浅場に目をやると、クロホシイシモチの大群!

千年サンゴのサンゴとサンゴの隙間では
大きなクエを2匹発見!

最後、安全停止をしている所にマアジの群れが出現!

2本目ビシャゴ

ビシャゴのハートのオブジェも人気ですよー!

安定のカエルアンコウも見れたし!
ちょっと頑張って遠くへ行ったら
2cmほどの大きなライチュウ(カンナツノザヤウミウシ)
も発見できたし!

今日も楽しいダイビングができました!

水中の写真がなくてごめんなさい<(_ _)>

ではでは、皆々様のお越しをスタッフ一同
心よりお待ちいたしております\(^o^)/
日 付 天 気 風 向 水 温 気 温 透明度 波 高
2/6 曇り→雪 北西 13℃ 4℃ 7~10m 1~1.5m

皆さまー!こんにちはー!
BAKUですヽ(^。^)ノ

きょうは冷えましたねーemoji
日中の最高気温が4℃ですよ!
暦の上では春なのに、なんなんですかこの寒さemoji

ついに雪というものも降臨しちゃいましたよ!emojiemoji
牟岐では初雪みたいです(^v^)

そんななか、きょうもダイビング行ってきましたよー♪

本日のミッションは、海中にハートのオブジェを設置すること!


それってなにだって??

さすが!いいとこつきますねー(笑)

これはなんなのかといいますと、
バレンタインまでの期間、海中の2ヶ所のポイントに設置しており
男性も女性も想いを馳せる方を想いながらくぐると願いが叶い
すでに幸せいっぱいの方もよりハッピーになるとか(ならないとか)
いま巷で話題沸騰のハートのオブジェでございますよ!emoji

一番乗りで僕もくぐりましたー!
すこし足が引っ掛かりましたが(笑)
なにかいいことあるかなー(*^。^*)

冗談はこのへんにして。

そんなわけで、バレンタインにちなんで大きなハートのオブジェを
内湾とビシャゴにセッティングしてまいりましたー!emoji

ジャジャーン!emojiemoji



こんな感じで一緒に記念写真をとってもよし!
今開催中のバレンタイン海中フォトコンテストの小道具に使ってもよし!
縁結びを祈願して、ハートをくぐり抜けてみてもよし!

みんなでバレンタインを楽しもう!emoji
 
ということで、
皆々様のお越しをおまちしておりまーす!\(^o^)/
あそびにきてねー♪♪
日 付 天 気 風 向 水 温 気 温 透明度 波 高
2/2 雨→晴れ 北西 13℃ 14℃ 15m 1.5m


こんちはー!BAKUです(^^♪

きょうは、朝方に雨がぱらついていたので
どうなることやらと天気を心配していましたが
そんな心配はまったく必要なかったですね!

雨はすぐにやんで晴れてきて
昼間にはすごーく暖かかったですね♪

というわけで

本日もダイビング行ってきましたー!!

きょうの海況は、うねりがあり少し揺れましたが・・
ダイビングの大勢には影響がありませんでした!

雨が止んで、水面付近には薄っすらと霧が発生し
雲の隙間から差し込んでくる太陽の光が
なんとも神秘的な雰囲気をかもしだしておりました!


船を走らせてダイビングポイントへとうちゃーく!

1本目:アッシャウラ

今年初のアッシャウラに心躍らせながらエントリー!

すると!

マアジの群れがドーン!!

ダイバーなんておかいまいなし!

超間近を泳いで行ったので迫力満点!


つづきましてー、

こちらはコロダイの幼魚でございます。

成魚とは似ても似つかぬ体の特徴。

変態と言えばいいのか、進化と言えばいいのか。

ちなみに、こちらがコロダイの成魚。
 

そんつぎは!

またしても大群!

こんどはイサキの大群のおでましだーい!

それにしても、どえらい数やなー

って、近っ!!

どんだけ接近してくんねーーん!
(ちなみに、カメラのズーム機能は使用しておりません!)

他にはネンブツダイやコガネスズメダイの群れ


あっ!そうそう。
アッシャウラにもカエルアンコウいますよー♪
サイズはとっても小さいですが、
黄色い体がとってもかわいいですよーemoji


2本目:アカバ

昨日のリベンジということで、
きょうもウミガメに会えることを祈って行ってみたものの
残念ながら会えずorz

しかし!ハリセンボンが
僕の心を癒してくれたおかげで
楽しくダイビングをすることができましたー


きょうは、アオリイカやエイにも会えましたー(*^。^*)



ではでは、皆様のお越しをおまちしておりまーす!
バーイ♪\(^o^)/
日 付 天 気 風 向 水 温 気 温 透明度 波 高
2/1 晴れ 南西 12~13℃ 17℃ 13~15m 0.5m


こんにちはー!
BAKUですヽ(^。^)ノ

きょうも良い天気!emoji

そして海も凪でダイビング日和!emoji

最高気温も17℃!
あったかい!

ということで、本日も行って参りましたよー(^v^)emoji

早速、本日の海情報をお知らせいたします!

今日は、アカバとビシャゴに行ってきましたー♪♪

1本目、
アカバ 透明度15m 水温12℃

ウミガメを探しに行くも、残念ながら今日はお留守でした(^_^;)

気を取り直してダイビング再開!

すると、可愛い色が特徴のレンテンヤッコを2匹発見!
サイズも小さめで、鮮やかな体色でとってもキレイでしたemoji
もっと近づいて見ようとすると、警戒心が強いためか
すぐに岩陰に隠れて、出てこなくなっちゃいましたemoji

水深20mの海底付近には
クロホシイシモチの大群が!
これでもかというほどの数にビックリ!emoji

その他には、ライオンフィッシュことハナミノカサゴや
黄色い体に黒い線が入っているキハッソクがいましたー!


2本目、
ビシャゴ 透明度13m 水温13℃

今日はビシャゴで、新しくカンナツノザヤウミウシとカエルアンコウを見つけました―!

今までのカンナは、水深25m付近という深場にいたため、
見に行くのも大変でしたが、
今日見つけた新人は、なんと水深13m!!
とっても見やすいポイントにいます!
体長も今までのは、大きいもので5mmから1cmくらい。
でも新人は、体長2cmオーバー!ビッグ!!

なんといってもカメラで撮りやすい!!emojiemoji


新しいカエルアンコウは!
今までにいたカエルアンコウ2匹(オレンジ色のやつと海藻をまとったようなやつ)
がいる大きな岩から5mという超至近距離で発見!
色は真っ黒!体長は今までのやつには劣りますが、それでも5cmはありました!
 
ビシャゴのカエルアンコウトリオ、可愛いのでぜひ見に来て下さいねー(*^。^*)

その他には、ハリセンボンやコロダイノ群れ、
黄色い体がキレイなコガネスズメダイなどがおりましたーヽ(^。^)ノ

ではでは、皆様遊びに来て下さいねー

★☆写真提供:H・T様 ありがとうございました<(_ _)>
日 付 天 気 風 向 水 温 気 温 透明度 波 高
1/31 晴れ 北西 11~15℃ 15℃ 15~18m 1~1.5m

皆さま、こんにちは!BAKUです\(^o^)/

本日は久しぶりにダイビング行ってきました!
 
朝日が気持ちいー!(*^。^*)

早速きょうの海情報をお知らせいたします!

1本目、ビシャゴ 透明度15m 水温11~12℃

エントリーしてすぐにキビナゴの大群がお出迎え♪
銀色に輝く体がキラキラと光をはね返しながら
編隊を組んで過ぎ去ってゆくその姿にしばらく見入っていました

久しぶりのダイビングの為、カエルアンコウの安否が心配で
見に行くことに!

オレンジ色のやつと海藻をまとったようなやつと
しっかり2匹いてくれました!

よかったー!!


2本目、大島桟橋 透明度18m 水温13~15℃

桟橋は透明度がバツグン!

海底に広がるアマモの草原にはアメフラシがいーっぱいおりました!
浮遊しているアメフラシもいて、なんとも可愛げでした

岩の隙間には、オトヒメエビがいたり
ハナミノカサゴがいたり

とても面白かったです!

☆★おまけ写真★☆
   

ではでは、皆さまのお越しをお待ちしております\(^o^)/
日 付 天 気 風 向 水 温 気 温 透明度 波 高
1/25 晴れ 南東 16℃ 15℃ 12~13m 0.5~1m


こんにちはー\(^o^)/
BAKUですemoji


きょうは、月に一度のサンゴ保全活動が行われましたー!

年が明けて、新年一発目の保全活動ということで
みんな張り切って行ってきましたよーemojiemoji


本日、駆除をしたポイントは、
内湾とビシャゴ。


本日は駆除活動に専念していたため
生物情報や水中での写真などがありません。
あしからずご了承ください。


では駆除活動の結果報告をいたします!


内湾から
オニヒトデ:0匹
サンゴ食巻貝:174個体


ビシャゴでは
オニヒトデ:中サイズ2匹
サンゴ食巻貝:213個体


今回、ボランティアダイバー皆さんの頑張りのおかげで
食巻貝を多く駆除することができましたーemojiemoji

多いと言っても過去の統計の中ではいたって普通の数字ですが・・
でも、最近の駆除活動の中では頑張った数字だと思いますemoji

駆除をしたサンゴ食巻貝の中には、3ミリ程度の小さな貝もあり
駆除活動に参加した皆さんの海やサンゴに対する強い思いが
ひしひしと伝わってきましたemojiemoji

オニヒトデは、相変わらず
個体数が減ってきているので
今回は2匹だけとなりました。

以上、本日のサンゴ保全活動の結果報告でした!emoji


ではでは、皆さまのお越しをお待ちしております!
遊びに来てねー\(^o^)/emoji



日 付 天 気 風 向 水 温 気 温 透明度 波 高
1/24 晴れ 南南西 16℃ 13℃ 12~13m 0.5m以下

朝が 寒い のと 夜が 寒い のだったら

どっちが嫌ですか? どうも奥さん 僕です(゜レ゜)



朝が寒いのはホントにやだですよ
夜が寒いのはいぃんです だんだん布団があったまってくる感じとか
むしろ夜は寒くないと夜じゃない的な話ですよね? 奥さん(゜レ゜)

というわけで

本日の海情報です
今日は南西の風がすごぉぉぉく穏やかに吹く1日でした
風波いっっっさいなし!!!
これぞベタ凪!!! きれいな空気をそのまま絵にしたみたいな青い空には
カスレ雲のかけらさえありません
トンビの呑気な鳴き声が似合いすぎる 気の早い小春日和のもと
船を滑らせて向かった先は

チエバノシタ    透視度 12~13m
                   水温  16℃

漁師さんからの事前情報によると
『上り潮がゾロッと入ってきよる』とのこと
ゾロッと…(゜レ゜)

ポイントに着くと
底まで見えてるぅぅぅ(・∀・喜)
水が青っぽいぃぃぃ♪(・∀・嬉)
水温も16.7℃(・ε・温)
ってこれもう
ほとんど17℃じゃん

という水温は何日ぶり(゜レ゜)

チエバの深場にはピカチュウがいました

イサキとアジの群もいました

イシダイやニザダイ
ギンポにウミウシ
もう少し綺麗ならもっと地形が輝いてみえるのにぃぃ(゜レ゜)悔



ビシャゴ      透視度 12~13m
                   水温  16℃

桟橋休憩中も風もなくてポカポカ日光浴
桟橋ベンチに腰かけて日光浴で十分体が温まるのなんて
何か月ぶり(゜レ゜)

そしてビシャゴの深場で
カンナツノザヤ
ツノザヤウミウシ

カエルアンコウ
リュウキュウハタンポ
イシモチ、ソラスズメ、キンギョハナダイ
イサキ、キビナゴ、タカベの大群

大満足で施設へ帰って大パノラマ風呂で
存分に体を温めて

本日も日は暮れてゆくのです


というわけで

皆様のお越しをお待ちいたしております!!!


追伸

ダイビング休憩室に
セルフドリンクのコーナーができました!!!
今まで置いてた麦茶に加えて
コーヒー、紅茶もご自由にお飲みいただけます!!!
日 付 天 気 風 向 水 温 気 温 透明度 波 高
1/23 晴れ 北西 15℃ 11℃ 12m 0.5~1m


こんにちはー!BAKUですemoji

本日の海情報をお知らせいたしまーすemojiemoji


きょうダイビングをしてきポイントは
大島桟橋!!

大島桟橋でのダイビングは僕は久しぶりなので
ワクワクドキドキ!

潜る前に全ポイントのブイの電池交換をチャチャッとすませて
いざダーイブ!emoji


やはり、外洋に比べると透明度は良く、12mくらいは見えました!

水温は15℃
前回のダイビングが前の日曜日だったのですが、その時は水温13℃!
2℃の違いは相当大きいもので、体へのダメージが少なくて
快適にダイビングができました!

大島桟橋のポイントを隅から隅まですべて見てみようと思い
きょうのダイブタイム(潜水時間)は61分でしたー(笑)
久しぶりのロングダイブとなりましたが、
最初から最後まで楽しくダイビングができましたemoji


ではでは、本日印象に残っている生物をお知らせしまーす!

まずは、岩の隙間いたるところにいる
オトヒメエビ!
4匹見つけちゃいましたemoji



次はヨウジウオ!
細くて体の模様が海藻などに同化して見つけにくかったですが
それでも、2匹確認できました!
写真の中にいるのがわかりますか??



少しがんばって湾の外の方に泳いでいくと
イサキの大群とご対面!
こんな湾の中の方まで入ってきていることに驚きました!



折り返して、今度は浅場に広がるアマモの草原を調査することに!

すると、いるわ!いるわ!
あたり一面にアメフラシとコノハミドリガイとミノウミウシが
たーくさんいるではありませんか!
海底のアマモの所だけでなく、
小さなコノハミドリガイとミノウミウシがたくさん
ゆらゆらと浮遊してました!

アメフラシ↓↓

コノハミドリガイ↓↓

ミノウミウシ↓↓



その他にも、
体長70cmはあるであろう大きなアオブダイが2匹いたりemojiemoji

これまた大きなマダイが僕の方をジーと見ながら泳ぎ去っていったりemoji

シコロサンゴの隙間を行ったり来たり、忙しそうに泳ぎまわっている
ニシキベラがいっぱいいたりemoji

すっごく楽しかったです!♪


ではでは、皆さま
遊びに来てくださいねー!\(^o^)/
次のページ &gt;&gt;
カレンダー
12 2026/01 02
S M T W T F S
1 2 3
4 5 6 7 8 9 10
11 12 13 14 15 16 17
18 19 20 21 22 23 24
25 26 27 28 29 30 31
バーコード
最新記事のフィルム
お天気情報
忍者アナライズ
プロフィール
HN:
noah
年齢:
25
性別:
非公開
誕生日:
2000/07/07
職業:
ダイビング
趣味:
ダイビング
フリーエリア
ブログ内検索
カウンター
忍者ブログ [PR]